Benggwigwishingasuchus est un genre d’archosauromorphe pseudosuchien poposauroidé décrit en 2024 par Smith et ses collègues (voir cet article), avec B. eremicarminis pour espèce. Il se base sur un squelette partiel (LACM-DI 158616) découvert dans l’Anisien de la formation géologique de Favret (Nevada, Etats-Unis). L’une des particularités de Benggwigwishingasuchus est qu’il a été découvert dans des sédiments marins, et que les conditions de fossilisations du spécimen holotype indiquent qu’il vivait en pleine mer. Klein analyse ainsi son ostéohistologie afin de déterminer si elle est cohérente avec un mode de vie aquatique.

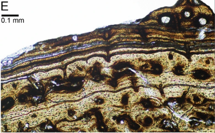
Klein a réalisé une coupe histologique sur l’un des humérus de l’holotype (LACM-DI 158616) de Benggwigwishingasuchus eremicarminis. Cette coupe révèle que la croissance de LACM-DI 158616 était lente et régulière tout au long de sa vie. Klein note que toutes les lignes d’arrêt de croissance sont visibles et qu’elles n’ont pas été effacées par le remodelage osseux. 8 lignes sont présentes, ce qui indique que LACM-DI 158616 était âgé de 8 ans à sa mort. Il ne montre pas de signes de croissance accélérée au début de son ontogenèse, ni de ralentissement à sa mort. Pour Klein, LACM-DI 158616 possède les caractéristiques ostéohistologiques d’un subadulte.

La croissance de Benggwigwishingasuchus était lente tout au long de son ontogenèse. Klein note également de courtes périodes d’arrêt de croissance, peut-être liées à une raréfaction temporaire des ressources. Ces courtes périodes d’arrêt de croissance et les lignes d’arrêt de croissance annuels marquées sont le signe que Benggwigwishingasuchus était sensible aux variations des conditions environnementales. Ceci combiné à sa croissance lente sont des arguments pour un métabolisme ectotherme (à sang froid) pour Benggwigwishingasuchus.

Enfin, Klein note aussi que le tissu osseux de Benggwigwishingasuchus est peu vascularisé et disposé en couches fines. Cela contraste avec l’histologie de la plupart des sauropsides aquatiques qui ont un tissu osseux bien vascularisé et disposé en couches épaisses. Ceci, combiné au fait que les sauropsides aquatiques ont souvent une croissance rapide, montre que l’ostéohistologie de Benggwigwishingasuchus n’est pas celle d’un animal aquatique. Pour Klein, Benggwigwishingasuchus était un animal côtier, ou bien un animal qui commençait à peine à occuper le milieu aquatique.
Références : Klein, N., 2024, Diverse growth rates in Triassic archosaurs—insights from a small terrestrial Middle Triassic pseudosuchian. The Science of Nature. 111(4): 38.
Smith, N.D.; Klein, N.; Sander, M.P.; Schmitz, L., 2024, A new pseudosuchian from the Favret Formation of Nevada reveals that archosauriforms occupied coastal regions globally during the Middle Triassic. Biological Letters. 20(7): 20240136.
Toutes les images proviennent de Klein, 2024, à l’exception de la première qui provient de Smith et al., 2024